La conectividad y adaptación de las esponjas atlánticas peligra por los cambios de temperatura y la pesca de arrastre

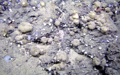
Foto de un campo de esponjas del Atlántico Norte de la especie "Geodia hentscheli" a más de 2.000 metros de profundidad. Paco Cárdenas

Un grupo internacional de investigadores liderados desde el Museo Nacional de Ciencias Naturales (MNCN-CSIC) ha estudiado la conectividad y adaptación de una esponja muy común en aguas del Atlántico Norte y el Ártico que forma campos de esponjas. En concreto, se trata de la esponja patata, Geodia hentscheli, una especie de crecimiento muy lento y muy vulnerable frente a las perturbaciones humanas como la pesca de arrastre o el aumento de la temperatura. Para esta investigación, publicada en Molecular Biology and Evolution, se tomaron muestras de la esponja patata a profundidades que van desde pocos metros hasta cerca de 3.000 metros de profundidad a lo largo de su distribución conocida, que va desde Canadá hasta el Ártico. Tras el análisis genético de más de 100 muestras, cuya caracterización composicional y funcional de los microorganismos asociados se ha realizado en colaboración con el Centro Nacional de Biotecnología (CNB-CSC), el equipo ha comprobado que la situación de estas esponjas es preocupante. Factores relacionados con la actividad humana ponen a estos organismos en riesgo y pueden tener consecuencias severas en los ecosistemas de profundidad provocando un efecto en cascada muy negativo para muchas otras especies. 

Han tomado muestras desde pocos metros de la superficie a cerca de 3000 de profundidad a lo largo de 6000 km, desde Canadá al Ártico

Los campos de esponjas forman ecosistemas que juegan un papel fundamental en los hábitats del océano profundo donde se encuentran. “Su función en las profundidades marinas es parecida a la de los bosques en los ecosistemas terrestres, ya que proporcionan protección a una gran variedad de invertebrados marinos así como a un importante número de especies de peces de interés comercial”, contextualiza el investigador del MNCN, Sergi Taboada, primer autor de este artículo. “Con este trabajo hemos querido comprobar cómo las poblaciones de estas esponjas se conectan entre sí y cuál es su estado general de conservación”, continua. 

Analizar el estado de conservación de las poblaciones de esponjas es clave para trabajar en la conservación de los ecosistemas profundos

“Las herramientas genéticas de última generación como la secuenciación masiva o la transcriptómica nos han permitido determinar que las muestras de G. hentscheli están conectadas genéticamente a lo largo de toda su distribución, a pesar de estar separadas por más de 6.000 km. Esta interconexión se produce en parte gracias a las corrientes oceanográficas prevalentes”, explica la investigadora Ana Riesgo también del MNCN y coautora del trabajo. La corriente principal que conecta las poblaciones de esta esponja es la AMOC (Atlantic Meridional Overturning Circulation por sus siglas en inglés), un sistema de corrientes oceánicas que transporta agua cálida desde los trópicos hacia el Norte y devuelve agua fría hacia el sur, y que juega un papel crucial en la regulación del clima en el hemisferio norte y Europa. El debilitamiento de la AMOC que se ha detectado en estudios oceanográficos recientes, además de añadir incertidumbre al clima, podría tener efectos difíciles de prever para especies como G. henstcheli, cuyas poblaciones dependen de estas corrientes marinas para conectarse entre sí. Esta falta de conectividad podría provocar el aislamiento de algunas de las poblaciones que puede conllevar la extinción local de estas poblaciones.

“Nuestros resultados también confirman un claro aislamiento genético entre poblaciones que se encuentran por debajo y por encima de los 1,300 m de profundidad”, aclara Taboada. Este aislamiento genético se produce por factores ambientales como la presión y la salinidad, que son significativamente diferentes por debajo y por encima de esta profundidad. Los datos obtenidos indican que las esponjas están perfectamente adaptadas a vivir en estos entornos con condiciones ambientales tan diferentes y que lo hacen tanto a nivel de la propia esponja como a nivel de los microbios que viven en simbiosis en su interior. 

“Esta investigación, pionera en ecosistemas marinos de profundidad, puede tener implicaciones importantes desde el punto de vista de la conservación de hábitats tan sumamente frágiles como los campos de esponjas. Esperemos que nuestros resultados puedan servir para proteger estos hábitats tan relevantes que son al mismo tiempo tan poco conocidos”, concluye Riesgo. 
 

Fecha

Martes, 22 Julio 2025

Investigador

Sergio Taboada Ana Riesgo

Referencias

S. Taboada, C. Díez-Vives, M. Turon, M.B. Arias, C. Galià-Camps, P. Cárdenas, V. Koutsouveli, F.C. de Carvalho, E. Kenchington, A.J. Davies, y S. Wang. (2025). Connectivity and adaptation patterns of the deep-sea ground-forming sponge Geodia hentscheli across its entire distribution.   Molecular Biology and Evolution DOI: https://doi.org/10.1093/molbev/msaf145

Documentación